REQUEST A TOUR If you would like to see this home without being there in person, select the "Virtual Tour" option and your agent will contact you to discuss available opportunities.
In-PersonVirtual Tour

$ 90,000
Est. payment /mo
New
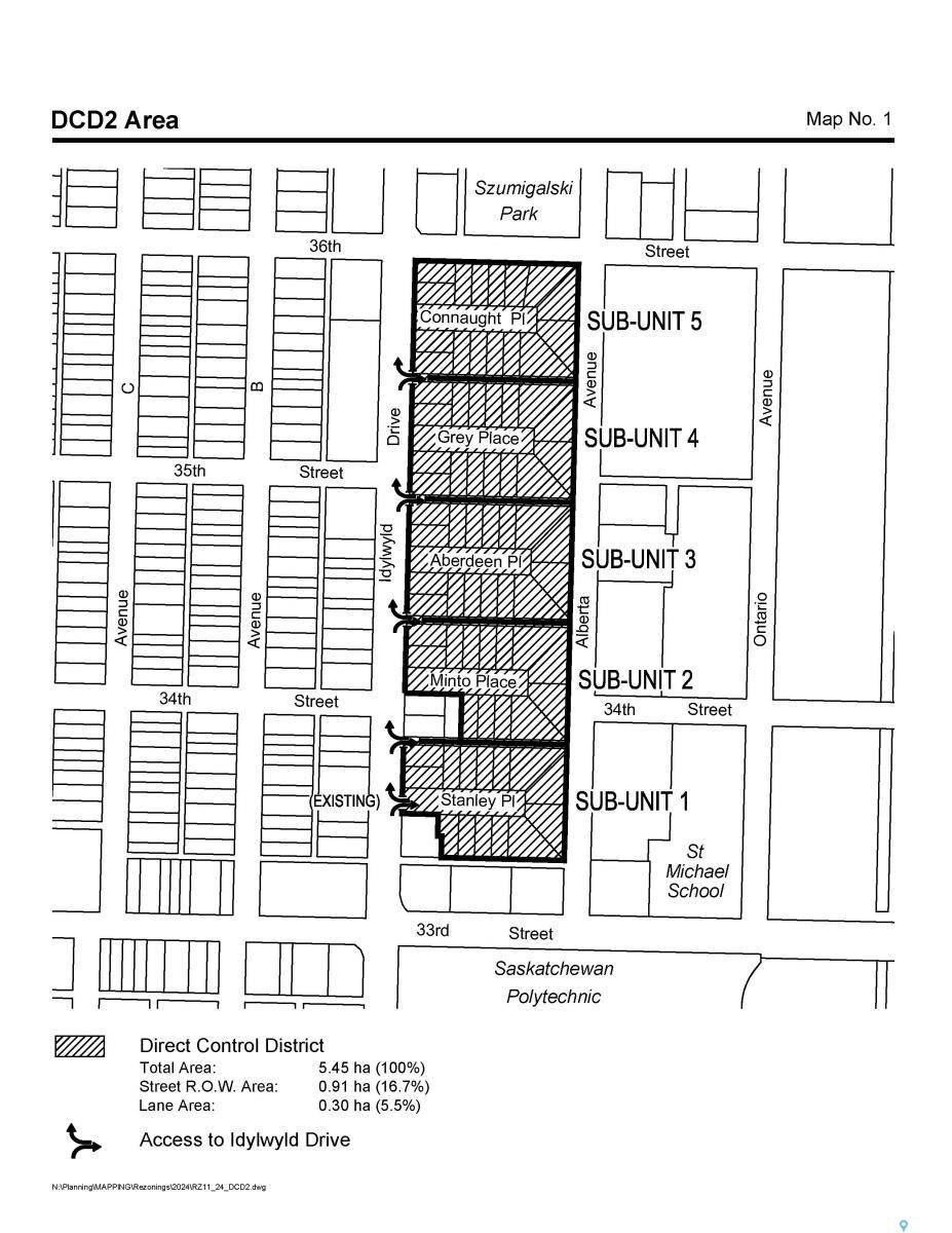
4 Stanley PLACE Saskatoon, SK S7L 1C3
4,391 Sqft Lot
UPDATED:
Key Details
Property Type Vacant Land
Listing Status Active
Purchase Type For Sale
MLS Listing ID SK026254
Annual Tax Amount $786
Tax Year 2024
Lot Size 4,391 Sqft
Acres 0.10080349
Source Saskatchewan
Property Description
Vacant Lot for sale in DCD2 zoning. Can be packaged with other lots to create larger packages. Lot has already been cleared with substantial costs going into removing the house. Potential opportunity to package with other lots on Stanley Place. The city has a proposed plan in place for rezoning to CS1 / CM1 / CR2. The City of Saskatoon's Corridor Planning team is proposing changes to the zoning and land use regulations for the DCD2 area. Stanley Place is sub-unit 1 in the DCD2 zoning district; information can be found on the city website.
Location
Province SK
Exterior
Topography Flat
Building
Lot Description Irregular
Sewer Attached to Municipal
Others
Ownership Freehold
Listed by Boyes Group Realty Inc.

GET MORE INFORMATION
QUICK SEARCH



